rump
luftfederung
hallo
Links zu ebay oder Amazon sind Werbelinks. Wenn Sie auf der Zielseite etwas kaufen, bekommen wir vom betreffenden Anbieter Provision. Es entstehen für Sie keine Nachteile beim Kauf oder Preis.

Helligkeit Display Bordcomputer


ulih am 28 Okt 2013 13:33:35

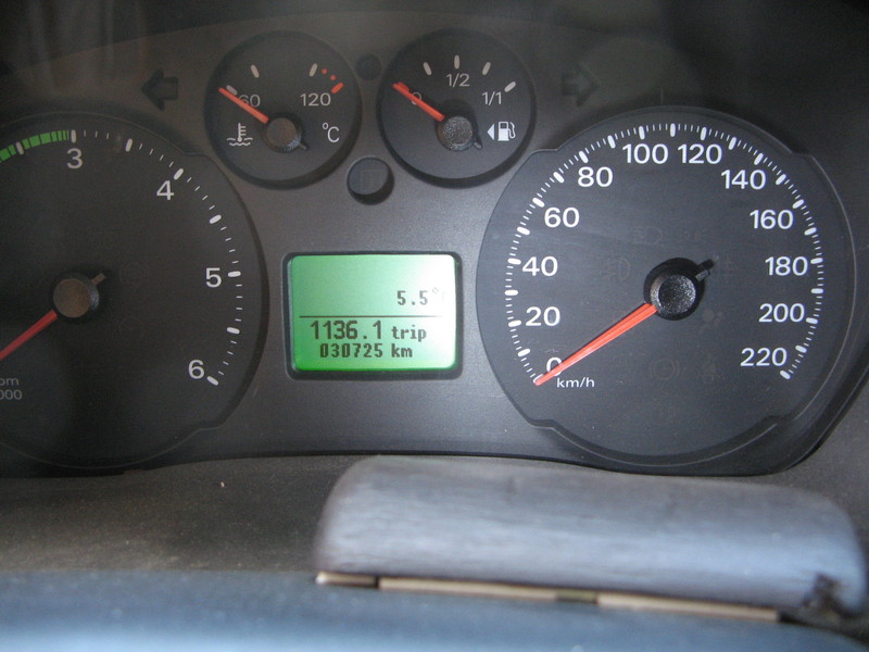
Unser HymerEriba Van (auf Ford Ducato), den wir gebraucht vor einem 3/4 Jahr gekauft haben, besitzt in der Mitte des Tachometers das Display des Bordcomputers. Die Beleuchtung ist so mies, dass ein Ablesen nur in der Nacht möglich ist. Unter Tags kann man die Infos ablesen, wenn man mit einer Taschenlampe!!! das Display anleuchtet. Ich glaube nicht, dass dies normal ist, vor allem, da die Taschenlampe nicht in der Standardausführung des WoMos enthalten ist. Wer kennt das Problem, wie kann man Abhilfe schaffen? Danke im Voraus an alle!

Anzeige vom Forum

Hier findest Du vielleicht schon, was Du suchst: Artikel auf eBay oder versuchs hier bei Amazon

viking92 am 28 Okt 2013 13:37:52

ulih hat geschrieben:Unser HymerEriba Van (auf Ford Ducato), .....


Naaa, mit dem miesen Display....kann nur ein FORD Transit sein :wink:

Sorry, da gibt es seitens FORD keine zufriedenstellende Lösung.


freetecmicha am 28 Okt 2013 13:38:19

..........auf Ford Ducato sollte das Problem aber nicht auftreten;-)

Anzeige vom Forum


Gast am 28 Okt 2013 14:29:27

ulih hat geschrieben:Unser HymerEriba Van (
auf Ford Ducato)
, den wir gebraucht vor einem 3/4 Jahr gekauft haben, besitzt in der Mitte des Tachometers das Display des Bordcomputers.
Die Beleuchtung ist so mies, dass ein Ablesen nur in der Nacht möglich ist. Unter Tags kann man die Infos ablesen, wenn man mit einer Taschenlampe!!! das Display anleuchtet. Ich glaube nicht, dass dies normal ist, vor allem, da die Taschenlampe nicht in der Standardausführung des WoMos enthalten ist.
Wer kennt das Problem, wie kann man Abhilfe schaffen? Danke im Voraus an alle!


Die Summe aller guten Eigenschaften in einem WOMO vereinigt :D
Für das Problem beim Ford gibt es keine Lösung.

rudo am 28 Okt 2013 23:43:33

Hallo falls es ein Ducato ist hat es links neben dem Steuerrad
ein Tastenfeld Mode und einen Taste Pfeil nach oben und einen Taste Pfeil nach unten damit kann man die
Helligkeit einstellen ist auch im Bordbuch auf Seite 25 beschrieben.
Rudi

freetecmicha am 30 Okt 2013 13:45:01

...........ansonsten hilft nur ein grosser Bl....hund!!

rorei am 30 Okt 2013 20:29:40

Ich habe bei meinem Transit eine kleine Soffitten LEd mit Schalter vor die Armatur gesetzt. Jetzt kann ich sowohl den Tacho wie auch das Display gut erkennen.
Roland

ulih am 02 Nov 2013 18:23:55

Hi Roland, das klingt vielversprechend. Allerdings bin ich technisch ein absoluter Laie. Kann jemand mit mind. 2 linken Händen so was selbst einbauen und kannst Du mir noch einen Tip geben, wie so was genau aussieht? Wäre super, VG

rorei am 05 Nov 2013 13:54:20

Hallo ulih,
habe mal Fotos gemacht. Das Gehäuse habe ich als alter Modellflieger aus Balserholz geschnitzt und matt lackiert, wird nur leicht warm. Eingebaut wurde eine Soffitten LEd und ein kleiner Schiebeschalter ( seitlich ). Strom habe ich von Dauer-Plus des Radios ( daher der Schiebeschalter ). Das Gehäuse ist einfach mit doppelseitigem Klebeband, leicht schräg wegen der Blendwirkung, aufgeklebt. Ist ja ein Prototype, ich habe die Kabelführung geändert, daher die kleine Öffnung hinten.
Ach ja, ich sollte wieder mal abstauben, sieht man schön auf den Fotos.
Roland



andwein am 06 Nov 2013 11:41:30

Die Lösung ist spitze, steht schon auf meiner To do Liste.
Andreas

ulih am 06 Nov 2013 14:04:51

Hallo rorei,
die Idee ist klasse, müßte ich hinbekommen - danke und VG

herbert-kerpen am 06 Nov 2013 14:24:15

Hallo
Ist aber schon traurig, das man eine zusatzbeleuchtung anbringen muß,um das Display abzulesen !!! :cry:

gruß
herbert-kerpen

rorei am 06 Nov 2013 17:42:20

Ja, leider. Aber auch der Tacho ist mit Sonnenbrille bzw. bei bestimmten Tageslichtverhältnissen nicht ablesbar. Diese ungute Situation war für mich viel wichtiger als das Display.
Roland

Hessenbiker am 08 Nov 2013 18:33:55

Wochenende - Bastelzeit,

vor allem wenn man nicht weg kann.
Habe letztes Wochenende einen Versuch zur Displaybeleuchtung an meinem Transit-Bus gemacht
und diesen für gut befunden.
Das Ergebnis ist auf den Fotos zu sehen.



Hier die Einbaulage der LED-Streifen, dies können problemlos gekürzt werden:




Hauptsächlich hat mich genervt bei gewissen Lichtverhältnissen den Tache nicht ablesen zu können.
Die LED's habe ich im 20er Pack in der Bucht für knappe € 14.- gezogen, Strom über Zündung vom
Stecker der Steckdose im linken Staufach abgenommen.
Auch bei Dunkelheit sind die LED's nicht zu hell.
Weiter Info's gebe ich gerne

aus dem Odenwald

Werner

viking92 am 08 Nov 2013 22:29:19

[X] gefällt mir :top: ....richtig gut.
Werde mich im Winter auch mal beimachen.
Im Sommer, mit Sonnenbrille, siehste absolut nichts vom Display.


bert am 09 Nov 2013 18:42:33

Hi werner

Sieht klasse aus.
Genügt mehr Helligkeit über dem Instrumenträger um das Display vernünftig lesen zu können?
Dachte eher an die Möglichkeit das Display selbst zu erhellen.

bert

Hessenbiker am 09 Nov 2013 19:35:32

(x)bert,

bin bislang bei normalem Tageslicht und in der Dunkelheit gefahren und damit zufrieden.
In Anbetracht des Aufwands und der Kosten absolut OK.
Es muss nach Ausbau des Kombiinstruments lediglich die geklemmte Abdeckscheibe runter.
Das Display selbst zu "erleuchten" habe ich versucht. Du musst das komplette Kombiinstrument
zerlegen das nur aus 1 Grundplatte mit den el. Komponenten sowie den Zifferblättern besteht.
Die Chance intern etwas zu verändern ist mit Hausmitteln recht gering.
Mir war es den Aufwand nicht wert. Schön wäre schon eine LED die direkt und ohne Reflektionen auf
das Display strahlt. Allerdings ändert das nichts an der schlechten Lesbarkeit des Tachos bei
bestimmten Lichtverhältnissen. Und das Fahrlicht einzuschalten um bei Tag den Tacho lesen zu
können möchte ich auch nicht da ich TFL eingebaut habe. 8)

aus dem Odenwald

Werner

bert am 09 Nov 2013 19:38:40

Danke Werner,

der Winter steht ja schon in den Startlöchern.
Da wird dann wieder gebastelt.

bert

andwein am 10 Nov 2013 13:27:07

Hallo hessenbiker,
Die LED Strippen könnte man dann ja auch blendfrei aoben an der Abdeckscheibe anbringen und Richtung Tacho/Display strahlen lassen.
Wie hast du den Instrumententräger ausgebaut?. Was muss alles weg um an die Schrauben zu kommen? Ne kleine Beschreibung wäre nett.
Im Voraus Danke, Andreas

Hessenbiker am 11 Nov 2013 11:36:16

Hier kurz der Ausbau:

- Deckel des oberen Staufachs abbauen, 2 Schrauben hinten am Scharnier
- Staufach ausbauen, ist vorne geschraubt und rundherum eingeklipst, mit Schraubendreher kein Problem
- untere Blende der Lenkradsäule abnehmen, ist nur eingeklipst
- Blende vom Kombiinstrument abnehmen, oben geschraubt, unten geklipst
- dann liegt das Kombiinstrument frei, ist mit 4 Schrauben befestigt
- jetzt kommt der Stecker auf der Rückseite des Kombiinstruments links gelegen
- wie auf dem Foto die obere Nase eindrücken dann den Bügel seitlich wegklappen, Stecker ist ab
- Beim Einbau umgekehrt vorgehen, die gespeicherten Werte wie Tageskilometerzähler und Verbrauch
werden beim Ausbau auf "0" gesetzt, der totale Kilometerstand bleibt erhalten



aus dem Odenwald

Werner

andwein am 11 Nov 2013 14:52:43

Danke
Andreas

viking92 am 11 Nov 2013 15:00:48

Wenn das Kombielement schon mal draussen ist, dann das Ganze nach unten hin etwas isolieren/dämmen.
Somit gehört auch das "Geflacker" der Instrumentenbeleuchtung (so denn vorhanden) der Vergangenheit an. :wink:


andwein am 12 Nov 2013 12:30:21

Bin schon am hirnen, Material besorge ich diese Woche noch bei Conrad (Sofitte und LED Band warmweiß) und dann versuche ich mich mal an einer Lösung. Stören tuts mich schon lange, aber ich war wohl zu faul. Ich werde berichten.
Andreas

Paule2 am 12 Nov 2013 13:12:20

Hallo Andreas,

mach hinne, :D

ich lieg auch schon auf der Lauer. :D

MfG Paule2

andwein am 13 Nov 2013 11:35:41

Bleib ruhig, Brauner. Ich bin noch am Hirnen.
Man muss so was auskosten, der Winter ist lang.
Meine Frau hat den Kopf geschüttelt, aber ihr habt mich heiß gemacht, deshalb werde ich was unternehmen. Andreas

andwein am 21 Jan 2014 14:44:33

Paule2 hat geschrieben:Hallo Andreas,
mach hinne, :D ich lieg auch schon auf der Lauer. :D
MfG Paule2

So, es ist vollbracht. In der 2.Jan.Woche war es war genug für 3h Bastelarbeiten.
Ich habe eine LED Klebestrippe an der Innenseite der Glasscheibe angebracht.
Ob es was bringt kann ich allerdings erst ausprobieren, wenn die Sonne aufs Display scheint.
Aber was solls, ich konnte nach den Feiertagen ein bisschen austoben.
Eine ausführlichere Dokumentation habe ich auf meiner HP eingestellt.
--> Link
Andreas

viking92 am 21 Jan 2014 14:57:36

Klasse Andreas :top:
Werde demnächst auch irgendwas nachrüsten.
Im Sommer ist das Display schon arg schlecht zu erkennen.

Wo hast Du den D+ hergenommen? Ich hatte mir seinerzeit einen Anschlusspunkt vom EBL kommend gelegt.
Und der D+, der im Manual beschrieben wird (Beifahrerseite, hinter Handschuhfach), funzt nicht.


Hessenbiker am 21 Jan 2014 15:28:28

Hallo Andreas,

gute Sache, bin gespannt auf Deinen Praxistest.
Kurze LED-Streifen hab' ich noch und umgebaut ist's schnell - ist ja schon alles da ;-)


Werner

andwein am 22 Jan 2014 12:05:54

viking92 hat geschrieben:Wo hast Du den D+ hergenommen? Ich hatte mir seinerzeit einen Anschlusspunkt vom EBL kommend gelegt.

Den D+ Anschluss hat der Aufbau-Hersteller Hehn unter dem Amaturenbrett mit einer Sicherung herausgeschleift, der Geht weiter zu EBL & Kühli. Den habe ich angezapft.
Den von Ford beschriebenen habe ich auch nicht gefunden. Ursprünglich wollte ich an Zündung + (KL15), aber die habe ich auch nicht (ohne Ausbau Sicherungsakasten) gefunden.
Viel Erfolg, Andreas

hgcumbre am 23 Jan 2014 22:06:11

Hallo Andreas,

das sieht gut aus.
Ich hatte das für die nächste Zeit auch vor.
Werde mich nun an deine Erfahrungen anlehnen.
Im Moment ist es mir aber zu kalt.

Bleibt die Suche nach dem D+.
Wo ich den finden soll, außer in der Aufbauverdrahtung, weis ich noch nicht.
Irgendwo ist eine Lösung.

Vielen Dank für die Anregungen.

Heinz-Günter

andwein am 24 Jan 2014 14:15:52

hgcumbre hat geschrieben:Bleibt die Suche nach dem D+.
Wo ich den finden soll, außer in der Aufbauverdrahtung, weis ich noch nicht.
Heinz-Günter

Und das sagt Ford in seinen Aufbauunterlagen, obs stimmt???
"Klemme15 (Zündung an) ist im Fußraum rechts hinter dem unteren Handschuhfach, ab 2008 ist der Anschluss rechts von der Lenksäule als 6,3mm Flachstecker aus dem Kabelbaum herausgeführt
Klemme 61 (D+)im großen Kabelbaum zwischen Lenksäule und der Instrumenteneinheit.
Sicherung für D+ links oben hinter der Abdeckung der Lenksäule.
Ein Motorlaufsignal ist über die Zentralelektrikbox verfügbar; hierzu ist ein Kabelbaum mit T-Anschluss (Ford Teilenummer 6C1V-14A411-F*) einzubauen. Bei allen nach August 2006 hergestellten Fahrzeugen gehört dieser Signal-Abgriffspunkt (Stecker) zur
Grundausrüstung. Er befindet sich hinter dem Handschuhfach im Armaturenbrett

Andreas

viking92 am 24 Jan 2014 14:31:51

Im FORD Etis Manual ist es auch noch ganz gut beschrieben.....zumindest beschrieben & reichlih bebildert, auch wenn der Anschluss bei unserem 2007'er nicht vorhanden ist :)


hgcumbre am 24 Jan 2014 23:08:19

Hallo Andreas,

vielen Dank für den Hinweis.

Wo ich das jetzt lese, erinnere ich mich, das im Umbauhandbuch schon gelesen zu haben.

Da werde ich mal ansetzen.

Was soll in den alten Kopp bloß noch alles rein :-o

Heinz-Günter

p+v am 18 Aug 2015 15:31:04

Hallo zusammen,

hatte mich auch in der Disziplin "Tachobeleuchtung Transit" versucht, musste aber sehr schnell aufgeben,da ich die Klipps nicht finde. Bin da wohl etwas zu ängstlich beim stochern mit dem Schraubenzieher....

Könnt ihr mir da weiterhelfen (Fotos)?
DANKE!


Volker

lemes am 10 Jan 2016 19:32:58

Hallo zusammen!
Auch ich habe die Winterpause genutzt, um am Thema Tachobelkeuchtung für Ford Transit zu arbeiten. Als Antwort zu Volkers Anfrage stelle ich hier mal die Fotos ein, die ich nach Tachoausbau gemäß der Beschreibung von Werner (vielen Dank dafür!!!) geschossen habe:

1. Nach Entfernung des Staufachdeckels und der Staufachmulde sieht es darunter so aus:



Die vorderen Clips lassen sich relativ leicht lösen, während die hinteren schon etwas mehr "Gewalt" erfordern. Ich habe zum Aufhebeln spezielle Kunstoffhebel benutzt, die für die Entfernung von Verkleidungen im KfZ-Bereich angeboten werden.

2. Nach Ausbau der Tachoverkleidung und des Tachos sieht es darunter so aus:



Man kann recht gut erkennen, dass die Verkleidung oben geschraubt und nur unten eingeclipst ist. Diese Clips lassen sich auch recht einfach lösen.

3. Für meine Beleuchtungslösung habe ich den übrig behaltenen Rest eines anderswo benutzten 5m langen RGB-LED-Streifens verwendet und davon ein Stück mit 9 LEDs abgeschnitten. Auf die Kontakte habe ich kleine Versorgungsdrähte für Rot, Grün, Blau und + gelötet. Diesen Streifen habe ich dann in das Innere des Tachos an den "Tachohimmel" geklebt in einem Abstand von ca. 2,5 cm zur Tachoanzeige:



Um den Einbau unauffälliger zu gestalten, habe ich dann den LED-Streifen mit schwarzem Isolierband abgeklebt und mit einem Skalpell die LEDs wieder freigelegt. Durch Aufkleben eines schwarzen Kabelschlauches (Durchmesser ca. 5 mm) mit Sekundenkleber auf das Isolierband vor die LEDs (so rückstandsfrei wieder entfernbar) habe ich dann eine Blende erzeugt. Diese verhindert, dass man bei Draufsicht auf den Tacho die LEDs von der Seite her sehen kann, und macht so die Beleuchtung sehr indirekt.



Legt man nun 12V Spannung an den (+)-Draht an und schließet die drei RGB-Drähte zusammen an Masse, so ergibt sich ein Leuchtbild fast gänzlich ohne Spiegelungen in der aufgeclipsten transparenten Tachoabdeckungsscheibe.



Die Farbe geht stark ins Bläuliche und ist sehr hell, weil die drei RGB-Farben bei dieser Anordnung nicht getrennt geregelt werden und jeweils volle Spannung anliegt. Um diesem "Mangel" abzuhelfen und weil ich auch noch etwas zum Spielen haben wollte, habe ich mir auf der aliexpress-Seite in China einen "H801 LED WiFi Controller" (Suchworte: RGBWW Streifen wifi Controller) für ca. 11€ gekauft, der mich ca. 3 Wochen nach Bestellung auch erreichte, ohne zusätzliche Zollgebühren zu kosten.



An diesen Regler habe ich dann auf der einen Seite die LED-Versorgungsdrähte angeschlossen und an der anderen Seite die vom Zigarettenanzünder abgezweigte 12V Versorgung (Zündungs(+) auf VCC, Masse auf GND). Wenn Spannung anliegt, dann baut der Regler ein kleines WLAN auf, in das man sich mit einem Android-Smartphone oder -Tablett einwählen kann. Über eine entsprechende App. können dann die drei RGB-Farben in ihrer Helligkeit separat gesteuert werden. Die dazu erforderlichen Daten (Link zum Runterladen der apk-Installationsdatei, SSID des WLANS sowie Passwort) sind auf der Angebotsseite des Händlers genannt. Ich habe die Bedienungsapp auf meinem Android 4.4.4 China-DoppelDin-Navi installiert und folgende Einstellungen gewählt:



und führt zu folgendem Beleuchtungsbild:



Das Rot kommt hier in der Fotografie allerdings viel deutlicher heraus. In der Realität ist die Beleuchtung - wie gewünscht - wesentlich dezenter.
Ich bin mit der gesamten Lösung sehr zufrieden.
Einen kleinen Mangel möchte ich aber nicht unerwähnt lassen: Wenn ich das Fahrzeug starte, geht die Tachobeleuchtung nicht von selbst an. Ich muss erst die WLAN-Verbindung zum Controller aufbauen und auf die Farbeinstellungsseite gehen. Dies reicht dann, um die einmal optimierte Einstellung in Funktion zusetzen. Wen dies stört, sollte als Alternative über einen "RGB Funk-Controller" nachdenken. Unter diesem Suchwort findet man kleine Geräte mit separatem Funk-Bedienteil (ab ca. 12€ zzgl. Versand), über die das Einschalten der Tacho-Beleuchtung vermutlich auf Knopfdruck möglich ist. Bitte aber keinen Infrarot-Controller kaufen, denn der Regler verschwindet ja unter der Staufachabdeckung und wird dort nicht von den Infrarot-Lichtstrahlen der Fernbedienung erreicht.

Allzeit gut Licht im Tacho!
lemes

andwein am 11 Jan 2016 16:59:08

Ich finde die Lösung mit der LED-Klebeleiste oben, dem Abdecken der weißen Trägerfolie und der Blende mittels Schrumpfschauch sehr interessant. Ich habe ja bei meiner Lösung von unten her beleuchtet.
Leider musste ich in der Praxis feststellen (verschiedene Lichteinfallswinkel) dass das Display auch nicht immer ablesbar ist, vor allem in entspannter, aufrechter Sitzposition. Ich hoffe, dass das bei deiner Lösung nicht so ist, vielleicht kommt ja mal im Sommer ein "Erfahrungsbericht"
Gruß Andreas

xtrax am 19 Mär 2016 22:44:35

Hallo zusammen,
ich habe mir mal die Mühe gemacht, die vorhandenen LEDs der Tachobeleuchtung zu unterstützen.
Wenn die Tachoeinheit schon mal ausgebaut ist (wie schon ausführlich sehr gut beschrieben) kann man noch einen Schritt weiter gehen... ist allerdings schon etwas Gefummel ;-) ... und ohne Gewähr - aber für wenig Geld machbar.
Schaut einfach in meinen Anhang. Viel Spass beim Nachbauen!

andwein am 21 Mär 2016 12:06:35

Welchen Anhang??? Wo liegt die Beschreibung?? Kannst du mir das bitte als normale eMail mal schicken?? Adresse findest du auf meiner Homepage.
Voraus Danke, Andreas

Anzeige

  • Die neuesten 10 Themen
  •  
  • Die neuesten 10 Reiseberichte
  • Die neuesten 10 Stellplätze

Haltbarkeit neuer Ducato
Rußpartikelfilter und grüne Plakette für Ducato Bj. 2000
Alle Rechte vorbehalten ©2003 - 2026 AGB - Datenschutzerklaerung - Kontakt